Online Only Auction Ends Monday, December 2, 2019 • 6PM
 7% BUYER'S FEE 
 
 Open House: Walk at Your Leisure
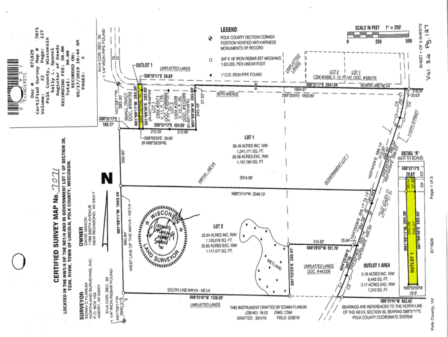
xxx 110th Street, Amery, WI 54001
Auction Questions: 715-418-1200
Highlighted Terms: Buyer's fee added to the final bid price to make up the final purchase price. 10% Down bank draft or check, with the balance due in cash at closing in 45 days. Real estate co-broking is encouraged, call 715-837-1015 for details. Full terms are available on the "Terms" tab.
Parcel 1: 28.49(+/-) acres & Parcel 2: 25.95(+/-) acres of productive ag land. Both gently rolling, mostly tillable with some wet land. Great addition to your current farm or investment!
Auctioneers: Barry Hansen 715-418-1200, Roger Hansen. Wisconsin Registered Auctioneer License #2434, 227.
Hansen & Young, Inc. - 1264 5th Ave, Prairie Farm, WI 54762.
 www.HansenAndYoung.com
Addendum “A” Online Auction Terms and Conditions
If you do not understand these terms or the bidding platform, DO NOT BID. Please give us a call. We can walk you through it & answer questions.
 
 There will be a buyer’s fee (see the note at the top of the bidding page for the buyer’s fee % for this online auction). Example of how a buyer's fee works: If the buyer’s fee is 10% then 10% will be added to the bid price to arrive at final purchase price. Example: Bid Price $100,000 plus $10,000 (10% buyer’s fee) equals purchase price of $110,000. If the buyer's fee is a different amount, use that percentage in place of 10%.
Homes built before 1978 may have lead-based paint. Click here for informational pamphlet.
 Each property is offered under the specific terms provided in the purchase contract. Please read and review the contract thoroughly prior to bidding on any property. The purchase contract includes this Addendum “A” Online Auction Terms and Conditions. 
Terms: 10% non-refundable earnest money in the form of a certified check, cash or wire transfer within 48 hour of the close of auction, with the balance of purchase price due at closing. Purchaser may be responsible for wire transfer fees incurred by their financial institution. Closing will be within 45 days. This online only auction is a cash sale not contingent on or subject to financing, appraisal, survey or inspections of any kind, as agreed to by bidders at registration prior to bidding.
Auction End Times: Hansen & Young, Inc Online Only Auctions are timed events. Hansen & Young, Inc Online Only Auctions also have an auto extend feature. If there are any bids placed in the final 10 minutes of the item closing, the auction ending will be automatically extended 10 minutes from the time the bid was placed. Example: if an auction scheduled to close at 6:00 receives a bid at 5:59, the close time will automatically extend 6:09. The auto-extend feature remains active until no further bids are received within a 10 minute time frame.
Auction company employees and/or the auction company may bid on auction items.
Acceptance of Bid Prices: Successful bidder(s) will be required to enter into a purchase agreement within 24 hours of the close of the auction. Hansen & Young, Inc will e-mail documents to be executed and faxed or e-mailed back to Hansen & Young, Inc within 48 hours of the end of the auction. Unless the auction is noted as "SELLING ABSOLUTE", the seller has the right to accept, counter or reject the final bid. Bidder(s) will also sign an agency disclosure as well as a property condition report and lead based paint disclosure which all buyers will waive the right for an inspection post sale. Successful bidders not executing and returning contracts with earnest money deposit within 48 hours will be considered in default. Any and all inspections that a buyer may want must be done at buyer’s expense prior to auction. This includes the 10 day inspection period for lead based paint in single family homes built prior to 1978.
Evidence of Title: Seller shall provide an owner’s title insurance policy in the amount of the purchase price purchased from T&M Abstract in Barron, WI.
Deed: Seller shall provide a warranty deed.
Possession: Possession at closing. No exceptions.
Real Estate Taxes: All taxes will be prorated to day of closing using previous year’s tax amount.
Easements: Subject to any and all easement of record.
Zoning: This property is subject to all state and local zoning ordinances.
Acreage: Parcel dimensions and acreages are based on legal descriptions.
Bidder Verification: The identity of all bidders will be verified, bidding rights are provisional, and if complete verification is not possible, Hansen & Young, Inc will reject the registration, and bidding activity will be terminated. The seller and selling Agents reserve the right to preclude any person from bidding if there is any question as to the person’s credentials, fitness, etc. Bidders agree to keep their username and password confidential as they are responsible for ANY and ALL activity involving their account. When using the web site you must obey any and all local state and federal laws. Violations will result in termination of web site use privileges.
Agency: Hansen & Young, Inc, and its representatives are agents of the Seller.
Buyer’s Agency: All buyers are responsible to notify auctioneers of any potential buyer’s agency contracts in place before registration and bidding on the auction and no later than 24 hours prior to auction close.
NEW DATA, CORRECTIONS, AND CHANGES: Please review prior to scheduled auction time to be aware of any changes, corrections, or additions to the property information.
Disclaimer & Absence of Warranties: All information in regards to this auction are subject to the terms and conditions outlined in the purchase agreement. The property is being sold on an “AS IS, WHERE IS” basis, and no warranty or representation either expressed or implied, concerning the property is made by the seller or the auction company. All sketches and dimensions in the brochure are approximate. Each potential bidder is responsible for conducting his or her own independent inspections, investigations, inquiries, and due diligence concerning the property. The information contained on the website is subject to verification by all parties relying on it. No liability for its accuracy, errors, or omissions is assumed by the seller or the auction company. Conduct of the auction and increments of bidding are at the direction of the auctioneer. All decisions of the auction company are final. Any dispute between auctioneers and buyers will be dealt with through arbitration in Barron County, Wisconsin. By bidding on the property at auction, buyer agrees to all terms and conditions set forth as well as those set at beginning of the auction.
Each buyer is responsible to conduct their own due diligence on the property before bidding.
We gather aggregate information from this website which may include but is not limited to: number of page visitors, most visited pages, any and all correspondence. By agreeing to these terms, you give Hansen & Young, Inc permission to send marketing emails to the email address on the account.
Barry 715-418-1200
 Roger 715-781-7172
Prairie Farm Office: 715-837-1015
If you do not understand these terms or the bidding platform, DO NOT BID. Please give us a call. We can walk you through it & answer questions.
Bidding Increments:
 $0-25 is $1
 $25-100 is $2
 $100-500 is $10
 $500-1500 is $25
 $1500-5000 is $50
 $5000-10,000 is $100
 $10,000-30,000 is $250
 $30,000-100,000 is $500
 $100,000-250,000 is $1000
$250,000-500,000 is $2500


 
  
  
  
  
  
 